forum meteorologie, starea vremii, climatologie

Partners

Portal meteorologie   Galerie meteo   Meteo chat   Model WRF-RoMetEx   RSS  
Acum este Mie Apr 29, 2026 4:14 am

Ora este UTC + 2 [ DST ]




Scrie un subiect nou Răspunde la subiect  [ 314 mesaje ]  Du-te la pagina Anterior  1 ... 3, 4, 5, 6, 7, 8, 9 ... 21  Următorul
Autor Mesaj
 Subiectul mesajului: Re: Oceanul Pacific de Vest
MesajScris: Mie Sep 16, 2009 1:07 am 
Neconectat
-40 °C
-40 °C
Avatar utilizator

Membru din: Dum Feb 17, 2008 1:00 pm
Mesaje: 14552
Localitate: Tg-Mures
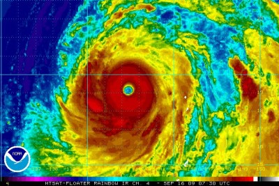
intradevar si dupa avertizarile JTWC pe scara SS Choi-wan e primu ciclon de categoria 5-a din an...si spun eu ca va ramane singurul.140kt si 918mb.In avertizarea oficiala a centrului din Tokyo Choi-wan are 100kt viteza sustinuta 10min si rafale de 140kt,iar presiunea estimata la 915mb...in continuare conservativi japonezii...taifunul si-a marit suprafata astfel ca aria pe care bat vanturi cu forta de furtuna tropicala adica egale sau mai mari cu 35kt este de 650km de la centru..pt comparatie cel mai mare taifun atat ca presiune cat si ca suprafata denumit Tip in 1979 a avut vanturi de peste 35kt pana la 1100km distanta fata de centru.In orice caz..e unul dintre cele mai mari taifunuri pe care le-am vazut vreodata...si pacat ca avioanele de cercetare au zburat in aceasta zona numai pana in 1987...acest bazin dispune de un potential urias pt studiul ciclonilor tropicali...si daca americanii nu mai trimit avioane..din lipsa de fonduri...cred ca japonezii si-ar putea permite sa trimita asemenea avioane de recunoastere..macar in astfel de taifunuri intense..pt a afla date exacte..nu doar estimative...
P.S. Choi-wan se afla exact in aceeasi zona in care se afla Tip acum 30 de ani fara o luna..


Fişiere ataşate:
Choi-wan aproape de intensitatea maxima-100kt-915mb.jpg
Choi-wan aproape de intensitatea maxima-100kt-915mb.jpg [ 26.43 KiB | Vizualizat de 2128 ori ]
Sus
 Profil  
 
 Subiectul mesajului: Re: Oceanul Pacific de Vest
MesajScris: Mie Sep 16, 2009 11:28 am 
Neconectat
Weather Guru
Weather Guru
Avatar utilizator

Membru din: Vin Dec 05, 2008 1:00 pm
Mesaje: 37830
Localitate: Bistrita
daca ar zbura un avion special in el ar gasi presiune sub 900 mb, poate chiar sub 890, si vanturi chiar mai mari, sunt destul de sigur (180 mph)


Sus
 Profil  
 
 Subiectul mesajului: Re: Oceanul Pacific de Vest
MesajScris: Mie Sep 16, 2009 11:40 am 
Neconectat
-40 °C
-40 °C
Avatar utilizator

Membru din: Dum Feb 17, 2008 1:00 pm
Mesaje: 14552
Localitate: Tg-Mures
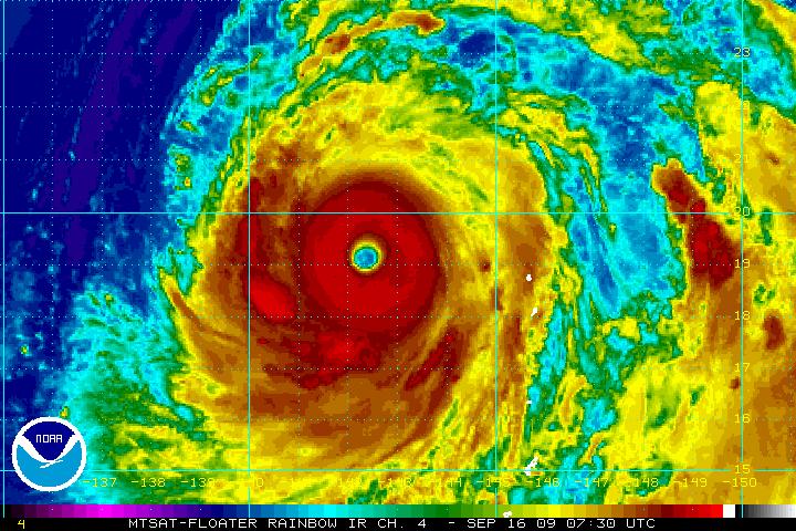
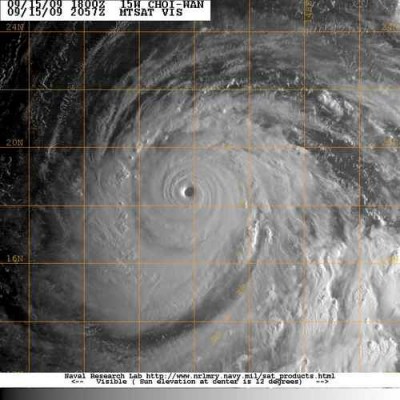
e fabulos...Choi-wan a trecut printr-un proces de inlocuire a zidului ochiului...iar acum..este de o simetrie perfecta...rar se vede asa ceva...JMA insista cu 915mb si 100kt..insa clar este mai puternic...prin tehnica Dvorak..in aceasta dimineata avea o forta de 7.2..ceea ce inseamna presiune de 891mb estimata


Fişiere ataşate:
Choi-wan (2).jpg
Choi-wan (2).jpg [ 102.51 KiB | Vizualizat de 2128 ori ]
Choi-wan (1).jpg
Choi-wan (1).jpg [ 23.47 KiB | Vizualizat de 2128 ori ]
Choi-wan.jpg
Choi-wan.jpg [ 41.48 KiB | Vizualizat de 2127 ori ]
Sus
 Profil  
 
 Subiectul mesajului: Re: Oceanul Pacific de Vest
MesajScris: Mie Sep 16, 2009 11:54 am 
Neconectat
Admin
Admin
Avatar utilizator

Membru din: Mar Feb 10, 2009 1:00 pm
Mesaje: 5176
Localitate: Targu-Mures
Si dimensiunea ochiului este remarcabila Imagine . Si eu sunt convins ca presiunea la centru a coborat sub 900 mb . Chiar trebuie sa fie tampiti rau de tot astia care insista cu 100 knt Imagine .

Am salvat si eu cateva imagini :

Imagine

Imagine

Imagine

Imagine


Sus
 Profil  
 
 Subiectul mesajului: Re: Oceanul Pacific de Vest
MesajScris: Mie Sep 16, 2009 11:55 am 
Neconectat
Admin
Admin
Avatar utilizator

Membru din: Mar Feb 10, 2009 1:00 pm
Mesaje: 5176
Localitate: Targu-Mures
Ultima as pune-o wallpaper , daca nu ar avea trasate paralele si meridiane .....


Sus
 Profil  
 
 Subiectul mesajului: Re: Oceanul Pacific de Vest
MesajScris: Mie Sep 16, 2009 1:01 pm 
Neconectat
Weather Guru
Weather Guru
Avatar utilizator

Membru din: Vin Dec 05, 2008 1:00 pm
Mesaje: 37830
Localitate: Bistrita
Asa arata Choi-Wan-Gura-De-Canal ieri:

Imagine

2 km http://rapidfire.sci.gsfc.nasa.gov/gall ... 45.2km.jpg
1 km http://rapidfire.sci.gsfc.nasa.gov/gall ... 45.1km.jpg
500 m http://rapidfire.sci.gsfc.nasa.gov/gall ... 5.500m.jpg
250 m http://rapidfire.sci.gsfc.nasa.gov/gall ... 5.250m.jpg


Sus
 Profil  
 
 Subiectul mesajului: Re: Oceanul Pacific de Vest
MesajScris: Mie Sep 16, 2009 2:04 pm 
Neconectat
-40 °C
-40 °C
Avatar utilizator

Membru din: Dum Feb 17, 2008 1:00 pm
Mesaje: 14552
Localitate: Tg-Mures
ce fain se vede apa...la rezolutie maxima....


Sus
 Profil  
 
 Subiectul mesajului: Re: Oceanul Pacific de Vest
MesajScris: Mie Sep 16, 2009 2:32 pm 
Neconectat
Weather Guru
Weather Guru
Avatar utilizator

Membru din: Vin Dec 05, 2008 1:00 pm
Mesaje: 37830
Localitate: Bistrita
Sau Choi-Wan-Ulcer-Perforat. :lol:


Sus
 Profil  
 
 Subiectul mesajului: Re: Oceanul Pacific de Vest
MesajScris: Joi Sep 17, 2009 5:26 pm 
Neconectat
Admin
Admin
Avatar utilizator

Membru din: Mar Feb 10, 2009 1:00 pm
Mesaje: 5176
Localitate: Targu-Mures
O sectiune transversala in volum , realizata de satelitul CloudSat , fireste in super-taifunul Choi-Wan :

Imagine


Sus
 Profil  
 
 Subiectul mesajului: Re: Oceanul Pacific de Vest
MesajScris: Vin Sep 18, 2009 12:55 pm 
Neconectat
Admin
Admin
Avatar utilizator

Membru din: Mar Feb 10, 2009 1:00 pm
Mesaje: 5176
Localitate: Targu-Mures
Chiu-Wan isi mentine foarte bine ochiul , chiar daca a slabit in intensitate :) . Sa vedem ce se va intampla dupa ca-si inlocuieste zidul .

Imagine


Sus
 Profil  
 
 Subiectul mesajului: Re: Oceanul Pacific de Vest
MesajScris: Vin Sep 25, 2009 11:40 am 
Neconectat
-40 °C
-40 °C
Avatar utilizator

Membru din: Dum Feb 17, 2008 1:00 pm
Mesaje: 14552
Localitate: Tg-Mures
choi-wan a ajuns pe coastele Alaskai...:D..sub forma sa extratropicala..


Sus
 Profil  
 
 Subiectul mesajului: Re: Oceanul Pacific de Vest
MesajScris: Mie Sep 30, 2009 3:43 pm 
Neconectat
Admin
Admin
Avatar utilizator

Membru din: Mar Feb 10, 2009 1:00 pm
Mesaje: 5176
Localitate: Targu-Mures
Taifunul Ketsana a facut ravagii in Filipine si in Vietnam . Inundatiile provocate in Filipine au ucis cel putin 246 oameni . Furtuna s-a intensificat in drum spre Vietnam si a lovit aceasta tara cu forta unui uragan de categoria 2-a ( viteza maxima a vantului a atins 105 mph ) . Si in Vietnam s-au inregistrat 22 victime , dar numarul acestora ar putea fi mult mai mare .

Graficul cantitatii de apa lasata de furtuna Ketsana in Filipine :

Imagine


Sus
 Profil  
 
 Subiectul mesajului: Re: Oceanul Pacific de Vest
MesajScris: Mie Sep 30, 2009 3:52 pm 
Neconectat
Admin
Admin
Avatar utilizator

Membru din: Mar Feb 10, 2009 1:00 pm
Mesaje: 5176
Localitate: Targu-Mures
Foarte activ Pacificul in aceste zile ..... S-a ajuns la a 20-a furtuna din an . Aceasta este Melor si va deveni taifun . Mult mai interesanta este insa cea de-a 19-a furtuna si anume taifunul Parma . Este de asteptat sa influenteze serios nordul Filipinelor , iar apoi sa se indrepte catre Taiwan , in intensificare . Eu nu as exclude sa loveasca Taiwanul ca super-taifun . Insa e prea devreme sa ne pronuntam :mrgreen: .


Sus
 Profil  
 
 Subiectul mesajului: Re: Oceanul Pacific de Vest
MesajScris: Mie Sep 30, 2009 9:51 pm 
Neconectat
Weather Guru
Weather Guru
Avatar utilizator

Membru din: Vin Dec 05, 2008 1:00 pm
Mesaje: 37830
Localitate: Bistrita
Trenuletul :lol: :

Imagine


Sus
 Profil  
 
 Subiectul mesajului: Re: Oceanul Pacific de Vest
MesajScris: Joi Oct 01, 2009 3:27 am 
Neconectat
Admin
Admin
Avatar utilizator

Membru din: Mar Feb 10, 2009 1:00 pm
Mesaje: 5176
Localitate: Targu-Mures
Intr-adevar Pacificul ne ofera spectacol in acest inceput de octombrie !


Sus
 Profil  
 
Afişează mesajele de la anteriorul:  Sortează după  
Scrie un subiect nou Răspunde la subiect  [ 314 mesaje ]  Du-te la pagina Anterior  1 ... 3, 4, 5, 6, 7, 8, 9 ... 21  Următorul

Ora este UTC + 2 [ DST ]


Cine este conectat

Utilizatorii ce navighează pe acest forum: Niciun utilizator înregistrat şi 1 vizitator


Nu puteţi scrie subiecte noi în acest forum
Nu puteţi răspunde subiectelor din acest forum
Nu puteţi modifica mesajele dumneavoastră în acest forum
Nu puteţi şterge mesajele dumneavoastră în acest forum
Nu puteţi publica fişiere ataşate în acest forum

Căutare după:
Mergi la:  
cron
Termeni şi condiţii
Powered by phpBB® Forum Software © phpBB Group
Translation/Traducere: phpBB România
phpBB SEO