forum meteorologie, starea vremii, climatologie

Partners

Portal meteorologie   Galerie meteo   Meteo chat   Model WRF-RoMetEx   RSS  
Acum este Mie Apr 29, 2026 4:14 am

Ora este UTC + 2 [ DST ]




Scrie un subiect nou Răspunde la subiect  [ 314 mesaje ]  Du-te la pagina Anterior  1 ... 4, 5, 6, 7, 8, 9, 10 ... 21  Următorul
Autor Mesaj
 Subiectul mesajului: Re: Oceanul Pacific de Vest
MesajScris: Joi Oct 01, 2009 3:30 am 
Neconectat
Admin
Admin
Avatar utilizator

Membru din: Mar Feb 10, 2009 1:00 pm
Mesaje: 5176
Localitate: Targu-Mures
Furtuna Melor s-a intensificat , fiind aproape de a atinge pragul categoriei 1 . Acum prognozele de intensificare indica faptul ca va ajunge la categoria 3-a . Eu tind sa cred ca va depasi aceasta categorie :mrgreen: .

Imagine

Imagine


Sus
 Profil  
 
 Subiectul mesajului: Re: Oceanul Pacific de Vest
MesajScris: Joi Oct 01, 2009 3:46 am 
Neconectat
Admin
Admin
Avatar utilizator

Membru din: Mar Feb 10, 2009 1:00 pm
Mesaje: 5176
Localitate: Targu-Mures
Taifunul Parma s-a intensificat intr-un mod absolut spectaculos , atingand intensitatea 7.3 pe scara Dvorak . Conform acestei scari , la aceasta valoare avem de-a face cu un super-taifun de categoria 5-a ! Si nici n-ar fi prea departe de adevar , tinand cont de frumusetea de pinhole eye pe care acest taifun il are . Sunt tare curios cum va arata avertizarea de dimineata ..... Daca intr-adevar va fi catalogat in a 5-a , atunci acest taifun s-a intensificat in doar 12 ore de la categoria 1-a la categoria 5-a ! Deocamdata este doar de categoria 3 ( oficial ) ..... Eu sunt de parere ca va concura cu Choi-Wan la suprematie :mrgreen: . Insa spre deosebire de acesta , Parma va avea toate sansele sa loveasca zone populate , fie din nordul Filipinelor , fie din Taiwan si conditiile sunt favorabile in continuare intensificarii . Totusi traiectoria taifunului ar putea fi putin influentata de interactiunea du depresiunea 18 , sistem pe care Parma in la absorbi in urmatoarele 2 zile . N-ar fi exclus sa asistam si la un mic efect Fujiwhara , chiar daca discrepanta intre intensitatile celor 2 furtuni este semnificativa .....

Imagine satelitara :

Imagine

Graficul intensificarii :

Imagine

Formarea ochiului conic ( pinhole eye ) :

Imagine


Sus
 Profil  
 
 Subiectul mesajului: Re: Oceanul Pacific de Vest
MesajScris: Joi Oct 01, 2009 9:57 am 
Neconectat
-40 °C
-40 °C
Avatar utilizator

Membru din: Dum Feb 17, 2008 1:00 pm
Mesaje: 14552
Localitate: Tg-Mures
am absentat o zi de pe acasa...si iata ce se intampla...:D.Inainte de Parma si Melor as vrea sa amintesc de recentul taifun Ketsana care a provocat un dezastru in Filipine si Vietnam.In FIlipine au fost peste 300 de morti iar capitala Manila a inregistrat precipitatii record absolut pt 24 ore.455mm din care 341mm in doar 6 ore,care au provocat un adevarat dezastru.In Vietnam situatia e asemanatoare,la fel in Cambodgia si Laos...peste 200 de morti si ina ceste tari si pagube de sute de milioane de dolari.


Fişiere ataşate:
Ketsana langa Vietnam.jpg
Ketsana langa Vietnam.jpg [ 22.83 KiB | Vizualizat de 2071 ori ]
Ketsana-75kt-960mb.jpg
Ketsana-75kt-960mb.jpg [ 28.1 KiB | Vizualizat de 2071 ori ]
Sus
 Profil  
 
 Subiectul mesajului: Re: Oceanul Pacific de Vest
MesajScris: Joi Oct 01, 2009 10:09 am 
Neconectat
-40 °C
-40 °C
Avatar utilizator

Membru din: Dum Feb 17, 2008 1:00 pm
Mesaje: 14552
Localitate: Tg-Mures
Acum legat de Parma si Melor...2 taifunuri care se intensifica extrem de rapid..Parma dupa avertizarea de la JTWC este deja un super-taifun de categoria 4-a.Avertizarea de la JMA il da mai puternic decat Choi-wan din punct de vedere al vantului 105kt fata de 100kt...insa presiunea estimata este mai ridicata 920mb fata de 915mb cat a avut Choi-wan(parerea mea ca a avut mai putin).Parma are un pinhole eye inconjurat de convectie intensa pe o suprafata foarte restransa,este un taifun mult mai mic decat Choi-wan,insa cel putin la fel de intens si care are sanse mult mai mari sa loveasca uscatul.Melor..se intensifica si el rapid insa este departe deocamdata de uscat...ramane de urmarit cu atentie.


Fişiere ataşate:
melor.jpg
melor.jpg [ 26.21 KiB | Vizualizat de 2072 ori ]
Parma (1).jpg
Parma (1).jpg [ 38.35 KiB | Vizualizat de 2071 ori ]
Parma.jpg
Parma.jpg [ 27.03 KiB | Vizualizat de 2073 ori ]
Sus
 Profil  
 
 Subiectul mesajului: Re: Oceanul Pacific de Vest
MesajScris: Vin Oct 02, 2009 10:33 am 
Neconectat
-40 °C
-40 °C
Avatar utilizator

Membru din: Dum Feb 17, 2008 1:00 pm
Mesaje: 14552
Localitate: Tg-Mures
Parma se indreapta spre Filipine insa a scazut in intensitate si sa speram ca nu va urma o noua intensificare chiar inainte de a lovi arhipelagul.Deocamdata are 95kt si 940mb,destul de puternic pentru a provoca daune uriase.Melor se apropie si el si spre deosebire de Parma acesta se intensifica in continuare dar tinta lui va fi din cate se pare Japonia,dar mai sunt inca 3-4 zile pana atunci si poate ca scapa japonezii.Melor are intensitatea de 95kt si presiunea 935mb.


Sus
 Profil  
 
 Subiectul mesajului: Re: Oceanul Pacific de Vest
MesajScris: Vin Oct 02, 2009 3:37 pm 
Neconectat
Weather Guru
Weather Guru
Avatar utilizator

Membru din: Vin Dec 05, 2008 1:00 pm
Mesaje: 37830
Localitate: Bistrita
Deocamdata un gand deloc bun pentru japonezi...

Imagine


Sus
 Profil  
 
 Subiectul mesajului: Re: Oceanul Pacific de Vest
MesajScris: Dum Oct 04, 2009 2:25 am 
Neconectat
Admin
Admin
Avatar utilizator

Membru din: Mar Feb 10, 2009 1:00 pm
Mesaje: 5176
Localitate: Targu-Mures
Pana la urma taifunul Parma a lovit Luzonul doar la categoria 1-a , cu vanturi de maxim 90 mph .


Sus
 Profil  
 
 Subiectul mesajului: Re: Oceanul Pacific de Vest
MesajScris: Dum Oct 04, 2009 2:28 am 
Neconectat
Admin
Admin
Avatar utilizator

Membru din: Mar Feb 10, 2009 1:00 pm
Mesaje: 5176
Localitate: Targu-Mures
Conform prognozelor , taifunul Parma va avea o traiectorie interesanta . Se va intoarce brusc si la un moment dat chiar se va deplasa catre SE , oricum aproape de Luzon in continuare .


Sus
 Profil  
 
 Subiectul mesajului: Re: Oceanul Pacific de Vest
MesajScris: Dum Oct 04, 2009 3:27 am 
Neconectat
Admin
Admin
Avatar utilizator

Membru din: Mar Feb 10, 2009 1:00 pm
Mesaje: 5176
Localitate: Targu-Mures
Taifunul Melor a trecut la 80 mile nord de Saipan insa nu a avut un impac major asupra insulei . Jim Edds s-a deplasat totusi in Saipan , insa cred ca a ramas dezamagit :( .

Invazia norilor cirrus , inainte de sosirea taifunului :

Imagine

Si cateva materiale video surprinse .....
Pregatirile pentru taifun :
http://www.vimeo.com/6867280
Valuri imense produse de furtuna :
http://www.weatherzine.net/blog/2009/10 ... pan-video/


Sus
 Profil  
 
 Subiectul mesajului: Re: Oceanul Pacific de Vest
MesajScris: Dum Oct 04, 2009 3:37 am 
Neconectat
Admin
Admin
Avatar utilizator

Membru din: Mar Feb 10, 2009 1:00 pm
Mesaje: 5176
Localitate: Targu-Mures
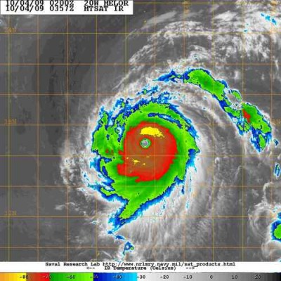
Taifunul Melor s-a intensificat in ultimele cateva ore formandu-si un ochi clar vizibil si un zid impresionant . Asta dupa ce a intrat intr-o zona cu forfecare foarte redusa . Asadar acum concureaza la titlul de furtuna anului ! A atins nivelul 7.5 pe scara Dvorak , valoare record pentru anul 2009 . Ramane de vazut cum va fi omologat oficial . Dupa parerea mea presiunea la centru a coborat sub 900 mb . Deocamdata ultimul raport indica 929 mb , dar atunci inca nu se intensificase la maxim . Se deplaseaza in continuare catre vest , dar in urmatoarele zile este de asteptat sa-si modifice traiectoria , existand posibilitatea de a lovi Japonia , cu cea mai mare probabilitate in zona Tokyo , insa nu la aceasta intensitate , pentru ca va mai slabi ..... Acum in mod evident este la categoria 5-a !

Grafic intensificare :
Imagine

Animatie satelit :
Imagine


Sus
 Profil  
 
 Subiectul mesajului: Re: Oceanul Pacific de Vest
MesajScris: Dum Oct 04, 2009 9:53 am 
Neconectat
-40 °C
-40 °C
Avatar utilizator

Membru din: Dum Feb 17, 2008 1:00 pm
Mesaje: 14552
Localitate: Tg-Mures
a devenit si oficial cel mai puternic ciclon al anului.este impresionant,desi nu are aceeasi marime ca Choi-wan,intensitatea sa este mai mare.oficial cei de la JMA au emis avertizarea cu vant de 105kt si presiunea 915mb,iar JTWC 145kt si presiunea 914mb.In ambele cazuri e cel mai intens ciclon al anului.Si in mod clar si de aceasta data presiunea la centru probabil ca este undeva la 900mb...sau chiar sub aceasta valoare..


Fişiere ataşate:
m.jpg
m.jpg [ 22.68 KiB | Vizualizat de 2072 ori ]
m1.jpg
m1.jpg [ 33.64 KiB | Vizualizat de 2071 ori ]
Sus
 Profil  
 
 Subiectul mesajului: Re: Oceanul Pacific de Vest
MesajScris: Dum Oct 04, 2009 12:45 pm 
Neconectat
Admin
Admin
Avatar utilizator

Membru din: Mar Feb 10, 2009 1:00 pm
Mesaje: 5176
Localitate: Targu-Mures
Super-taifunul Melor a atins din nou valoarea de 7.5 pe scara Dvorak . Dupa animatia satelitara este impresionant ..... un nou monstru .

Imagine


Sus
 Profil  
 
 Subiectul mesajului: Re: Oceanul Pacific de Vest
MesajScris: Dum Oct 04, 2009 12:48 pm 
Neconectat
Admin
Admin
Avatar utilizator

Membru din: Mar Feb 10, 2009 1:00 pm
Mesaje: 5176
Localitate: Targu-Mures
Cu vantul de 145 knt , Melor devine chiar cea mai puternica furtuna din anul 2007 incoace .


Sus
 Profil  
 
 Subiectul mesajului: Re: Oceanul Pacific de Vest
MesajScris: Dum Oct 04, 2009 1:18 pm 
Neconectat
-40 °C
-40 °C
Avatar utilizator

Membru din: Dum Feb 17, 2008 1:00 pm
Mesaje: 14552
Localitate: Tg-Mures
7.5 la scara Dvorak se traduce in vant de 160kt si presiunea 876mb..insa la cat de conservativi sunt japonezii e clar ca nu vom vedea nici un ciclon in avertizarile lor sub 900mb...cel mai intens din 2000 incoace de cand au preluat ei obligatia emiterii de averitzari oficiale a fost Jangmi anul trecut cu 115kt si 905mb..sunt absolut sigur ca si Jangmi si altele au avut presiune mai scazuta..in trecut cand se faceau zboruri si in acest bazin erau gasite destul taifunuri cu presiune sub 900mb..deci nu prea se poate ca in decurs de 10 ani nici unul sa nu mai fi scazut sub aceasta valoare...


Sus
 Profil  
 
 Subiectul mesajului: Re: Oceanul Pacific de Vest
MesajScris: Dum Oct 04, 2009 7:08 pm 
Neconectat
Admin
Admin
Avatar utilizator

Membru din: Mar Feb 10, 2009 1:00 pm
Mesaje: 5176
Localitate: Targu-Mures
Super-taifunul Melor isi mentine in continuare intensitatea .

Imagine


Sus
 Profil  
 
Afişează mesajele de la anteriorul:  Sortează după  
Scrie un subiect nou Răspunde la subiect  [ 314 mesaje ]  Du-te la pagina Anterior  1 ... 4, 5, 6, 7, 8, 9, 10 ... 21  Următorul

Ora este UTC + 2 [ DST ]


Cine este conectat

Utilizatorii ce navighează pe acest forum: Niciun utilizator înregistrat şi 1 vizitator


Nu puteţi scrie subiecte noi în acest forum
Nu puteţi răspunde subiectelor din acest forum
Nu puteţi modifica mesajele dumneavoastră în acest forum
Nu puteţi şterge mesajele dumneavoastră în acest forum
Nu puteţi publica fişiere ataşate în acest forum

Căutare după:
Mergi la:  
cron
Termeni şi condiţii
Powered by phpBB® Forum Software © phpBB Group
Translation/Traducere: phpBB România
phpBB SEO